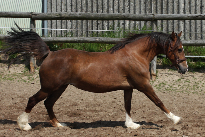
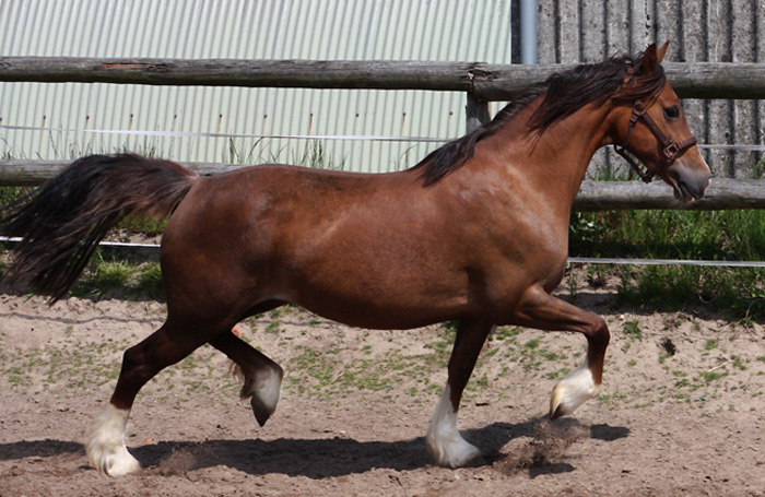
Name: Felinmor Destiny   
 Geburtsdatum: 2005
 Farbe: chestnut  

Destiny  ist eine Tochter des George Prince of Wales Cup Gewinners  Blaengwen Brenin und ist liniengezogen auf  Nebo Daniel.  Dieses Pedigree  ist reine walisische Linienzucht und stotzt nur so vor Prince of Wales Cup Gewinnern -  eben ein 5 Sterne Blut. 

 Sie ist die Vollschwester des Royal Welsh Siegers Felinmor Tripple Crown. und ebenfalls die jüngere Schwester unserer Felinmor Custom Maid.  Wir haben Destiny gekauft, nachdem ihr Vater Brenin im letzten Jahr leider tödlich verunglückte. So konnten wir dieses sehr wertvolle Blut für unsere Zucht langfristig sichern.  

Eine Stute im alten Cardigan Typ mit sehr viel Bewegung .  Diese Prinzessin ist sehr edel und hat viel von ihrem Großvater Nebo Daniel - es ist nicht zu übersehen. Wir haben uns sehr gefreut,  eine weitere Top Stute importieren zu können.

      

 

       

                                   

                         

                        

 

  

Blaengwen Brenin 35300
(D) b.1990 v. 72 chestnut
Pompren Prince Hal 26505
(D) b.1984 v. 66 chestnut
Nebo Daniel 17236
(D) b.1976 v. 59 chestnut
59530 Nebo Welsh Maid
(D) b.1977 v. 60 chestnut
83387 Synod Ruby Ann
(D) b.1987 v. 69 chestnut
Brynymor Welsh Magic 13506
(D) b.1973 v. 56 chestnut
73179 Synod Rejoice
(D) b.1962 v. 64 chestnut)
93896 Felinmor Serennu
(D) b.1991  chestnut
Nebo Daniel 17236
(D) b.1976 v. 59 chestnut
Nebo Brenin 12046
(D) b.1971 chestnut roan
44811 Nebo Princess Ann
(D) b.1973 bay
59254 Felinmor Mischief 
(D) b.1977  chestnut
Nebo Brenin 12046
(D) b.1971 chestnut roan
44857 Felinmor Drygionus b. 1973 chestnut